Castellón Información
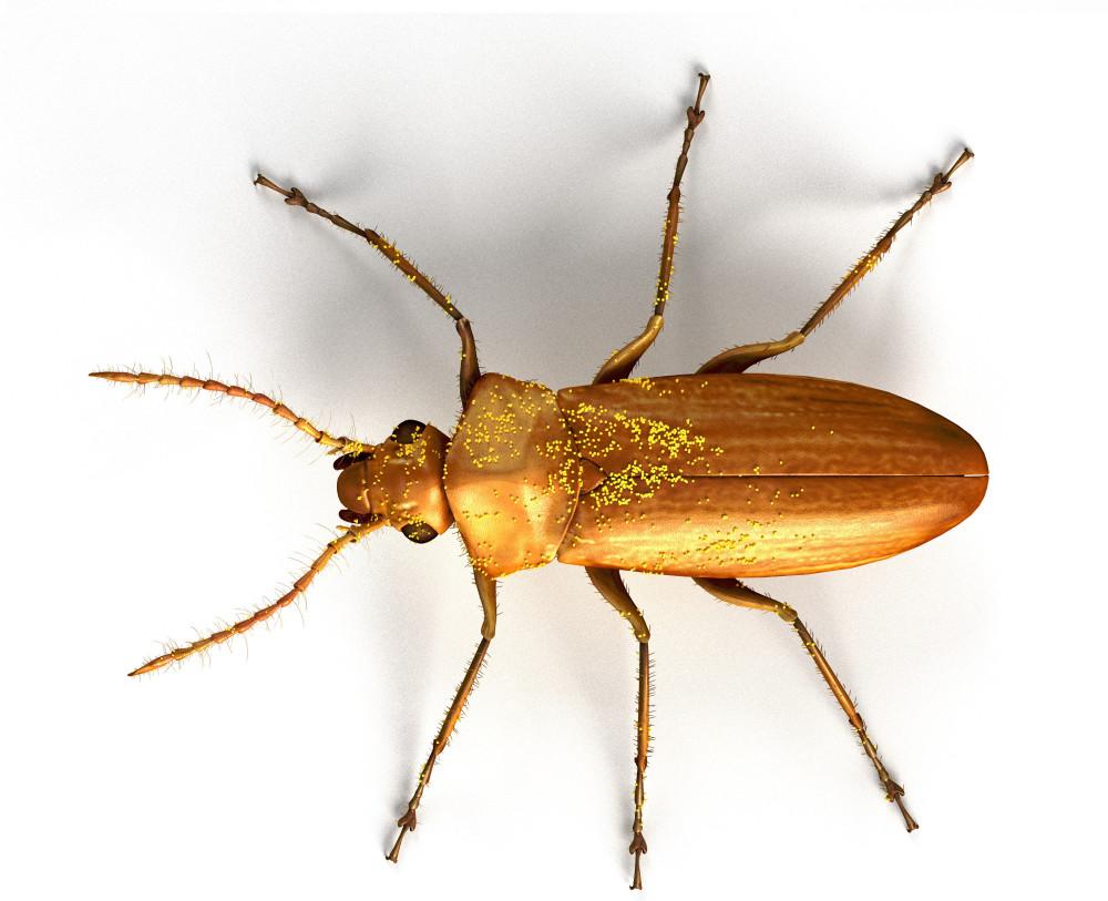
Darwinylus marcosi és el nom de l'escarabat —inspirat en la passió del naturalista anglès Charles Darwin per aquests insectes— que representa la primera evidència científica d'un nou patró de pol·linització en insectes en el Cretàcic mitjà, segons un article de la revista Current Biology publicat per investigadors de la Universitat de Barcelona, la Universitat Jaume I de Castelló i l'Institut Geològic i Miner d'Espanya, en col·laboració amb experts del Museu Smithsonià i la Universitat Harvard als Estats Units.
En el Cretàcic, fa uns 105 milions d'anys, no existien ni formigues, ni abelles ni papallones amb espiritrompa, i la majoria d'ecosistemes terrestres estaven dominats per plantes sense flors (gimnospermes). Aquestes plantes, que eren principalment coníferes, entre les quals destaquen les cícades, els ginkgos i les extintes Bennettitales, són en l'actualitat generalment pol·linitzades pel vent (pol·linització anemòfila). Durant el Cretàcic mitjà, es produeix el procés de transició cap als paisatges terrestres actuals dominats per les angiospermes o plantes amb flor, un nou llinatge de plantes de creixement ràpid i molt adaptable a tot tipus d'ambients.
Darwinylus marcosi: l'escarabat que encara pol·linitzava gimnospermes
Amb una datació que supera els 100 milions d'anys d'antiguitat, les restes d'organismes preservats en l'ambre del Cretàcic en el nord d'Espanya són una excel·lent finestra al passat més remot. Aquest exemplar únic d'escarabat ha sigut trobat en una peça d'ambre en la localitat de Peñacerrada (Àlaba), al costat d'un total de 126 grans de pol·len, alguns d'ells encara enganxats al seu cos. Pertany a la família Oedemeridae, coneguda en l'actualitat per ser de perfil florícola, i alimentar-se exclusivament del pol·len i nèctar de les flors de les angiospermes.
Aquesta espècie descoberta obri una nova frontera a l'estudi de la pol·linització en uns ecosistemes boscosos que van arribar a dominar els dinosaures. "Inicialment, es va pensar que aquest grup d'escarabats va exercir ja una funció pol·linitzadora entre les primeres angiospermes que es van desenvolupar durant el Cretàcic, ja que en els mateixos nivells de l'ambre es troba pol·len i fulles d'angiospermes. No obstant això, el fet que els grans de pol·len associats foren d'una gimnosperma va ser una gran sorpresa per a tot l'equip investigador", destaca el professor Xavier Delclòs, de la Facultat de Ciències de la Terra i de l'Institut de Recerca de la Biodiversitat (IRBio) de la Universitat de Barcelona.
El gran èxit evolutiu de les plantes amb flors
Tal com apunten els autors, els diversos exemples d'insectes revisats en l'estudi publicat en la revista Current Biology, que inclouen totes les espècies fòssils mesozoiques amb aparells bucals relacionats amb l'hàbit de la pol·linització, indiquen que tots exclusivament pol·linitzaven gimnospermes.
"Els fòssils trobats en peces d'ambre del nord peninsular són un registre únic en el món. En aquest cas concret, es tracta de l'únic escarabat fòssil conegut que s'ha trobat fossilitzat juntament amb grans de pol·len de la planta que pol·linitzava. Aquests descobriments semblen corroborar que les plantes amb flors van poder fer-se valdre dels insectes pol·linitzadors de gimnospermes ja existents, que al costat d'un creixement més ràpid i un cicle de vida més curt, va conferir a les angiospermes un avantatge crucial fins als nostres dies", explica l'investigador David Peris, membre de la Universitat Jaume I de Castelló i doctorat en la Universitat de Barcelona amb una tesi sobre paleobiologia de coleòpters.
Tot apunta al fet que la coevolució entre plantes amb flors i insectes pol·linitzadors no s'havia produït encara fa 105 milions d'anys. A més, alguns dels insectes que pol·linitzaven les gimnospermes, —com ara els insectes tisanòpters i els escarabats edemèrids— es van adaptar posteriorment a pol·linitzar angiospermes. Segons els experts, es tracta d'una adaptació oportunista, ja que les flors de les angiospermes van començar a oferir millors nutrients i ser més eficaços atraient els insectes amb formes suggeridores, intenses olors i vius colors.
El millor registre fòssil sobre pol·linització a tot el món
En l'actualitat, existeixen uns trenta ordres d'insectes, i els principals agents pol·linitzadors d'angiospermes són les abelles, les papallones, les mosques, els escarabats i els trips. Però, fa 105 milions d'anys, les abelles i papallones pol·linitzadores no existien, i els trips, els escarabats i les mosques són exemples d'insectes que s'han trobat nodrint-se de nèctar i pol·linitzant plantes gimnospermes, segons l'excel·lent registre fòssil de les peces d'ambre d'Espanya, que ha proporcionat els millors exemples directes de pol·linització en l'àmbit internacional.
D'acord amb els resultats de la nova recerca, els experts proposen un model de quatre patrons evolutius d'insectes pol·linitzadors de gimnospermes del Cretàcic, i la seua posterior extinció o evolució fins als nostres dies. En concret, aqueixos models corresponen a associacions d'insectes pol·linitzadors de gimnospermes que es van extingir durant el Cretàcic (per exemple, les mosques zhangsòlvides trobades en l'ambre del Soplao a Cantàbria); agrupacions que van sobreviure i van continuar en gran part fins al present (alguns insectes tisanòpters preservats en l'ambre d'Àlaba); grups que van passar a pol·linitzar angiospermes abandonant les gimnospermes (escarabats edemèrids com ara el nou exemplar amb pol·len de l'ambre d'Àlaba) i, finalment, associacions o grups d'insectes pol·linitzadors que van iniciar posteriorment una coevolució amb les angiospermes (el cas emblemàtic de les abelles, o les papallones amb espiritrompa).











































